

发布时间:2024/03/25
撰稿:航测事业部 裴文悦
南极洲,一个“与世隔绝”的大陆,充满了未知与神秘,因其坐落于地球的最南端,且四周被海洋所环绕,独特的地理位置使其成为这颗星球上最晚被发现的地方。现在的南极分为东南极和西南极两个部分,总面积约达1424.5万km²,由大陆、陆缘冰和岛屿组成,整个大陆约98%的区域终年被冰雪所覆盖,冰层平均厚约2000m,是全球淡水资源最丰富的地方,淡水储量约90%。这片大陆蕴藏有丰富的矿产资源,但因其严酷的自然环境,自然生物却略显匮乏。
探索永无止尽,从这片大陆被发现至今的这200多年时间里,各国的科学家们也陆续来到这里,敬畏自然的同时也让世人了解到更多关于南极的奥秘。如今,随着各类尖端技术在南极的广泛使用,人类探索南极有了不一样的方式和途径。
![]()
(南极帝企鹅照)
![]()
(南极海豹照)
海克斯康集团 – 徕卡测量系统,在秉承“爱国、求实、创新、拼搏”的南极精神下,抱着对祖国极地科考事业的大力支持,于2023年12月从北京派遣了一位专业的航空测量技术人员裴文悦,以中国第40次南极考察队队员身份,飞抵距离祖国首都约12553km之远的中国南极中山站,全力投身我国极地考察事业,为我国第 40 次南极考察航空科学调查相关任务保驾护航,负责对本次任务采用的徕卡CityMapper-2 混合型航空测量系统, 提供现场技术保障与支持工作!
![]()
(鸟瞰南极大陆)
据历史记载,南极最低气温曾达到-89.2℃,而相对温暖的“夏季”(12月至2月)则是开展科考工作的最佳时机。不过对于驻扎在中山冰雪机场(距离中山站约28km)执行航空科学调查工作的队员们来说,除了保证在有限的时间内完成所有的任务工作外,在低至-20℃和高至33m/s(飓风)风速下的“夏季”时间,人员的安全和各科研设备正常运转也都非常富有挑战性,譬如:
1.人员安全的挑战。强紫外线、大风、严寒、干旱、极昼夜是南极的“标配”,队员们通过穿戴羽绒内胆、企鹅服、雪地靴、暖贴等来抵御寒冷;佩戴面罩阻挡强紫外线照射和冰雪反射;时刻佩戴墨镜以防患雪盲症;高空飞行作业期间,通过吸氧缓解眩晕症状。
2.设备低温运转的挑战。因飞机长期户外停放且非增压舱结构,舱内温度远低于设备极限温度,为保障任务的顺利执行,裴文悦现场制定了设备预热方案,连同其他队员为徕卡CityMapper-2进行了全方位的升温操作,以确保设备运转正常,达到任务执行的必要条件,包括:物理静态加热、电路启动预热、核心单元组件预热等方式。
3.检校飞行的挑战。对于集成有高性能激光雷达的航空测量系统,需在安装后进行检校飞行,以消除设备安装工作对数据精度的影响。而在南极现场没有与国内相仿的地物可供选择。于是在执行任务前,裴文悦攀爬、翻越多座雪山,观察中山站及周边区域内冰雪覆盖和融化情况,并通过专业的技能和丰富的实战经验,以有限的地形地物特征做参考,制定出了南极特殊的检校飞行计划和其备选方案;组织机组确认飞行流程,最终顺利完成检校飞行,检校结果和精度经国内专家组远程评定符合国标要求!
![]()
(徕卡技术支持)
4.设备稳定性的挑战。在有限时间内完成所有的飞行任务,是整个固定翼飞机队工作圆满完成的重要一环,对设备的稳定性要求极高,设备任何异常状况或潜在隐患,都将直接影响到我国第40次南极考察队的整体工作进展,为此徕卡测量系统也特意为南极现场准备了零部件备份,全力保障科考飞行工作的顺利推进。当然,从始至终,徕卡CityMapper-2在整个40次队任务飞行期内一切正常,未出现硬件故障情况,得到了广泛好评!
![]()
(完成飞行作业)
据新华社2024年3月2日对中国第40次南极考察的跟踪报道:“本次考察队期间,“雪鹰601”共飞行44架次,圆满完成了全部既定任务”。这其中就包括使用徕卡CityMapper-2混合型航空测量系统圆满完成的共10个架次的高效飞行。
以下成果样例由中国极地研究中心(中国极地研究所)提供:
![]()
(局部影像样例)
![]()
(局部点云样例)
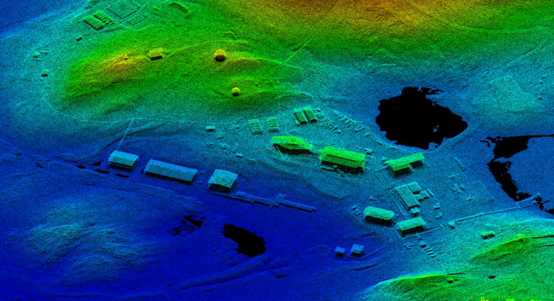
![]()
(局部DEM样例)
目前,南极已经进入至寒冷的冬季,中国第40次南极考察各项“度夏”科研工作已顺利完成,在取得硕果之际,“度夏”队员们已踏上归国的旅途。
本次考察任务中,徕卡CityMapper-2混合型航空测量系统不仅实现了徕卡航空测量产品在南极的首飞,也圆满的完成了中国第40次南极考察航空科学调查的相关任务!这不仅体现了徕卡测量系统优秀的产品品质;也是徕卡测量系统全球优质服务的缩影;更标志着徕卡测量系统对我国极地事业所做出的巨大贡献!
![]()
(徕卡CityMapper-2南极飞行纪念照)
联系邮箱:young.liu@leica-geosystems.com.cn
华南大区经理:周龙
联系电话:186 2773 0228
联系邮箱:long.zhou@leica-geosystems.com.cn
西部大区经理:桑夺坤
联系电话:186 7292 4256

